Czytanie projektu fundamentów jest kluczowym elementem procesu budowlanego. Właściwe zrozumienie tego dokumentu może znacząco wpłynąć na bezpieczeństwo i stabilność całej konstrukcji. W projekcie fundamentów można znaleźć istotne informacje dotyczące głębokości, kształtu fundamentów oraz poziomów, które są niezbędne do prawidłowego wykonania budowy.
Analizując projekt, należy zwrócić szczególną uwagę na wymiary ścian fundamentowych oraz stóp, a także na szczegóły dotyczące zbrojenia. Te elementy są kluczowe dla zapewnienia, że fundamenty będą solidne i trwałe. Bez odpowiedniego zrozumienia tych informacji, inwestorzy, architekci i pracownicy budowlani mogą napotkać poważne problemy w trakcie realizacji projektu.
Kluczowe informacje:- Projekt fundamentów zawiera szczegóły dotyczące głębokości i kształtu fundamentów.
- Ważne jest zwrócenie uwagi na poziomy, które wpływają na położenie elementów fundamentu.
- Wymiary ścian i stóp fundamentowych powinny być dokładnie zrozumiane i przestrzegane.
- Zrozumienie projektu zbrojenia jest kluczowe dla stabilności fundamentów.
- Dokumentacja fundamentowa jest niezbędna dla wszystkich zaangażowanych w proces budowlany.
Jak czytać projekt fundamentów krok po kroku dla lepszego zrozumienia
Umiejętność czytania projektu fundamentów jest kluczowa dla każdego, kto bierze udział w procesie budowlanym. Zrozumienie tego dokumentu może zapobiec wielu problemom na etapie realizacji budowy. W projekcie fundamentów znajdziesz istotne informacje dotyczące głębokości, kształtu oraz poziomów fundamentów, które są niezbędne do prawidłowego wykonania konstrukcji.
Przyglądając się projektowi, warto zwrócić uwagę na wymiary ścian fundamentowych oraz stóp, a także na szczegóły dotyczące zbrojenia. Te elementy są kluczowe dla zapewnienia, że fundamenty będą solidne i trwałe. Każdy uczestnik procesu budowlanego, od inwestora po architekta, powinien znać te zasady, aby mieć pewność, że cała konstrukcja będzie stabilna i bezpieczna.
Zrozumienie planu fundamentów i jego kluczowych elementów
Plan fundamentów to dokument, który zawiera wszystkie niezbędne informacje dotyczące budowy fundamentów. Kluczowe elementy tego planu to m.in. głębokość fundamentów, ich kształt oraz szczegóły dotyczące zbrojenia. Każdy z tych elementów ma istotny wpływ na stabilność całej konstrukcji.Analiza wymiarów i poziomów w projekcie fundamentów
Interpretacja wymiarów i poziomów w projekcie fundamentów jest kluczowa dla prawidłowego wykonania budowy. Wymiary te określają, jak głęboko i szeroko powinny być wykopane fundamenty. Na przykład, typowe wymiary dla fundamentów mogą wynosić od 80 do 120 cm głębokości, w zależności od rodzaju gruntu i obciążenia, jakie będzie musiał wytrzymać budynek.
Poziomy są równie ważne, ponieważ informują o wysokości, na jakiej powinny znajdować się poszczególne elementy konstrukcyjne. W przypadku fundamentów, poziom zero jest kluczowy, ponieważ określa, jak wysoko nad powierzchnią ziemi będą się znajdować ściany budynku. Niezrozumienie tych wymiarów może prowadzić do poważnych problemów w trakcie budowy.
| Typ Wymiaru | Znaczenie |
| Głębokość fundamentu | Określa, jak głęboko należy wykopać fundamenty, aby zapewnić stabilność. |
| Wysokość poziomu zero | Określa, na jakiej wysokości znajduje się podstawa budynku w stosunku do terenu. |
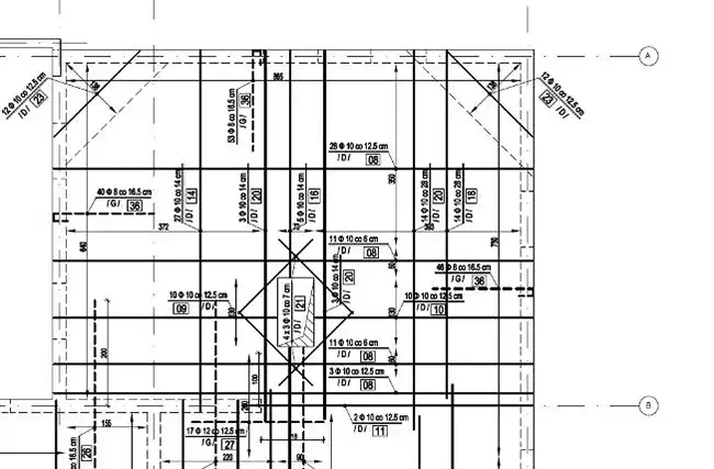
Najważniejsze symbole i terminy w projektach fundamentów
W projektach fundamentów, symbole i terminy odgrywają kluczową rolę w zrozumieniu dokumentacji budowlanej. Bez ich znajomości, interpretacja planów może być trudna i prowadzić do błędów. Zrozumienie tych elementów jest niezbędne dla każdego, kto chce skutecznie czytać projekty fundamentów.
Jak rozpoznać różne typy fundamentów i ich zastosowanie
Istnieje wiele typów fundamentów, a każdy z nich ma swoje unikalne cechy i zastosowania. Fundamenty płytowe są często stosowane na gruntach o niskiej nośności, ponieważ rozkładają ciężar budynku na dużej powierzchni. Z kolei fundamenty stóp są stosowane w miejscach, gdzie grunt jest bardziej stabilny, a obciążenie budynku jest skoncentrowane w określonych punktach.Innym popularnym rodzajem są fundamenty palowe, które są wykorzystywane w obszarach o słabych gruntach. Palowe fundamenty przenoszą ciężar budynku na głębsze, bardziej stabilne warstwy gruntu. Ważne jest, aby dobrać odpowiedni typ fundamentu do warunków gruntowych, aby zapewnić stabilność i bezpieczeństwo całej konstrukcji.
Co oznaczają symbole w dokumentacji technicznej
Symbole w dokumentacji technicznej są kluczowe dla prawidłowego odczytu projektów. Na przykład, symbol "F" często oznacza fundament, podczas gdy "Z" może odnosić się do zbrojenia. Zrozumienie tych symboli ułatwia interpretację rysunków i pozwala uniknąć nieporozumień.
Inne istotne symbole to "W" dla wysokości, "D" dla głębokości, oraz "S" dla ścianki. Każdy z tych symboli ma swoje znaczenie i jest używany w kontekście konkretnego projektu. Znajomość tych oznaczeń jest niezbędna, aby móc skutecznie analizować dokumentację techniczną i podejmować właściwe decyzje dotyczące budowy.
Czytaj więcej: Czym wysmarować fundamenty, aby uniknąć wilgoci i zniszczeń?

Jak unikać najczęstszych błędów przy czytaniu projektów
Unikanie błędów podczas czytania projektów fundamentów jest kluczowe dla sukcesu każdego projektu budowlanego. Nawet drobne nieścisłości mogą prowadzić do poważnych problemów, które mogą zwiększyć koszty i opóźnić realizację. Dlatego tak ważne jest, aby dokładnie analizować każdy aspekt dokumentacji.
Typowe pułapki i błędy, które mogą kosztować inwestycję
Wiele osób popełnia błędy, nie zwracając uwagi na szczegóły w projektach fundamentów. Na przykład, nieprawidłowe odczytanie wymiarów może prowadzić do budowy zbyt płytkich lub zbyt głębokich fundamentów, co zagraża stabilności budynku. Inny powszechny błąd to ignorowanie poziomów, co może skutkować nierównym osadzeniem się konstrukcji.
Inwestorzy często nie konsultują się z doświadczonymi specjalistami, co może prowadzić do zastosowania niewłaściwych materiałów lub technik budowlanych. Te błędy mogą nie tylko zwiększyć koszty, ale również wpłynąć na bezpieczeństwo całej konstrukcji. Dlatego warto być czujnym i dokładnie analizować każdy element projektu.
Praktyczne wskazówki na co zwrócić uwagę w dokumentacji
Podczas przeglądania dokumentacji fundamentowej, warto zwrócić uwagę na kilka kluczowych aspektów. Po pierwsze, upewnij się, że wszystkie wymiary są zgodne z lokalnymi normami budowlanymi. Po drugie, analizuj szczegóły dotyczące zbrojenia i materiałów użytych w projekcie. To pomoże uniknąć nieporozumień i problemów w przyszłości.
Dokładność w czytaniu projektów fundamentów kluczem do sukcesu
Unikanie najczęstszych błędów przy czytaniu projektów fundamentów jest kluczowe dla zapewnienia stabilności i bezpieczeństwa budowy. W artykule podkreślono, że nawet drobne nieścisłości, takie jak błędne odczytanie wymiarów czy ignorowanie poziomów, mogą prowadzić do poważnych problemów konstrukcyjnych, które zwiększają koszty i opóźniają realizację projektu. Przykłady typowych pułapek, takich jak zbyt płytkie fundamenty, pokazują, jak istotna jest dokładność w analizie dokumentacji.
Dodatkowo, artykuł zwraca uwagę na znaczenie konsultacji z doświadczonymi specjalistami w celu uniknięcia zastosowania niewłaściwych materiałów lub technik budowlanych. Praktyczne wskazówki, takie jak upewnienie się, że wszystkie wymiary są zgodne z lokalnymi normami budowlanymi, są niezbędne, aby uniknąć nieporozumień i problemów w przyszłości. Dlatego, aby osiągnąć sukces w projektowaniu fundamentów, konieczne jest zachowanie wysokiej precyzji i współpraca z ekspertami.
